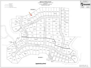
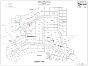
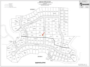
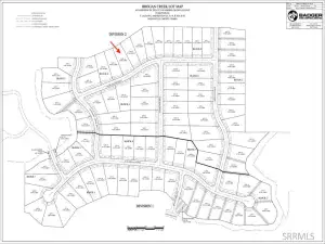
1.93 acres up on the hillside with a view of the Idaho Falls valley in the incredible subdivision of Comore Loma! Lots of space to build your dream home utilizing a shared well with electricity on site, private septic is still needed. Bring your vision and enjoy the beautiful view with close access to shopping, schools, recreation and more!
Property Details
Price:
$120,000
MLS #:
2178955
Status:
Active
Baths:
0
Type:
Land
Subdivision:
COMORE LOMA-BON
Listed Date:
Aug 15, 2025
Lot Size:
84,070 sqft / 1.93 acres (approx)
Comore Loma-bonWoodland HillsSandcreek 93jhHillcrest 93hs
Ask a Question
Take a Tour
Mortgage Calculator
Schools
Elementary School:
WOODLAND HILLS
Middle School:
SANDCREEK 93JH
High School:
HILLCREST 93HS
Interior
Exterior
Financial
Taxes
$938
Map
Community
- AddressTBD Packbridge Lane AMMON ID
- SubdivisionCOMORE LOMA-BON
- CityAMMON
- CountyBonneville
- Zip Code83406
Subdivisions in AMMON
- 1st Street Community
- 1st street community #3
- AMMON MEADOWS-BON
- AMMON-BON
- BRIARWOOD ESTATES-BON
- BRIDGEWATER-BON
- Brogan Creek
- CENTENNIAL RANCH-BON
- COMORE LOMA-BON
- CORTLAND RIDGE-BON
- Crestwood Hills
- EAGLE PARK-BON
- EAGLE POINTE-BON
- FOUNDERS POINTE-BON
- FOX HOLLOW SUBDIVISION-BON
- GRANITE CREEK-BON
- HAWKS LANDING-BON
- Hidden Valley
- Hillcrest Ranch
- HILLVIEW VILLAGE-BON
- LINCOLN TOWNSITE-BON
- MAPLE VILLAGE-BON
- MONTY HOWELL-BON
- MOUNTAIN BEND ESTATES-BON
- NORTH SPRINGS-BON
- OLSEN PARK-BON
- PHEASANT ESTATES-BON
- PONY ACRES-BON
- QUAILRIDGE ESTATES-BON
- SCHOOLSIDE-BON
- Silver Springs
- SIMPLICITY SUBDIVISION-BON
- SOUTHWICK-BON
- STONEHAVEN-BON
- SUBURBAN ACRES-BON
- TIE BREAKER-BON
- TRAILWOOD VILLAGE-BON
- Village Green Town Homes
- VILLASTHE-BON
- WARREN BIRD-BON
- WOODLAND HILLS-BON
Similar Listings Nearby

TBD Packbridge Lane
AMMON, ID