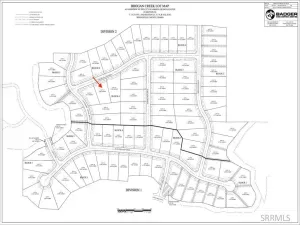
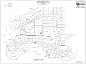
Welcome to Caliber Heights, Ammon’s newest subdivision with a direct connection to the established Bridgewater community. This prime lot offers convenient location and a established neighborhood just off Ammon Road. Exclusive Builder Incentive: When you build with Caliber Customs, you’ll receive a high-end Bosch appliance upgrade package included in your new home.
Property Details
Price:
$115,500
MLS #:
2181551
Status:
Active
Baths:
0
Type:
Land
Subdivision:
BRIDGEWATER-BON
Listed Date:
Jan 17, 2026
Lot Size:
13,068 sqft / 0.30 acres (approx)
Bridgewater-bonBridgewaterRocky Mountain 93jhBonneville 93hs
Ask a Question
Take a Tour
Mortgage Calculator
Schools
Elementary School:
BRIDGEWATER
Middle School:
ROCKY MOUNTAIN 93JH
High School:
BONNEVILLE 93HS
Interior
Exterior
Financial
Taxes
$0
Map
Community
- AddressL10 B1 Greenwillow Lane AMMON ID
- SubdivisionBRIDGEWATER-BON
- CityAMMON
- CountyBonneville
- Zip Code83402
Similar Listings Nearby

L10 B1 Greenwillow Lane
AMMON, ID

