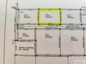
**NICE PRICE ADJUSTMENT** IMPROVED 1.5 ACRE BUILDING LOT WITH NEW WELL – BURTON AREA NEAR REXBURG Rare opportunity to own an improved 1.5 acre building lot in the highly desirable Burton area just west of Hwy 20 near Rexburg. Situated in a newly paved subdivision, this property offers the perfect balance of peaceful country living with convenient access to town amenities. This lot is ready for your dream home, with several valuable improvements already in place: Brand-new well installed in 2025. Power available at the property line. Natural gas available at the property line. Located within a newly paved subdivision. Enjoy ample space for a home, shop, animals, and outdoor living, all surrounded by wide-open views and the serenity of rural Idaho. Whether you''re planning to build now or invest for the future, this property provides flexibility and long-term potential. Improved lots in this area are in high demand—don''t miss your opportunity to build in this growing community.
Property Details
Price:
$115,000
MLS #:
2185395
Status:
Active
Baths:
0
Type:
Land
Subdivision:
Harvest Estates
Listed Date:
Apr 9, 2026
Lot Size:
63,449 sqft / 1.46 acres (approx)
Harvest EstatesBurton 321elMadison 321jhMadison 321hs
Ask a Question
Take a Tour
Mortgage Calculator
Schools
Elementary School:
BURTON 321EL
Middle School:
MADISON 321JH
High School:
MADISON 321HS
Interior
Exterior
Frontage
364
Financial
Taxes
$60
Map
Community
- AddressLot 1 3800 S REXBURG ID
- SubdivisionHarvest Estates
- CityREXBURG
- CountyMadison
- Zip Code83440
Similar Listings Nearby

Lot 1 3800 S
REXBURG, ID
