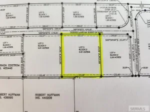
Enjoy peaceful country living on this spacious 1.14-acre lot in a private subdivision featuring a tranquil community pond with a floating dock, surrounded by 15 acres of beautifully mowed grass and scenic walking paths. Take in breathtaking views of local wildlife, the majestic Teton Mountains, and the gorgeous Henry''s Fork River, with a river nearby. All this, just minutes from town—a perfect blend of nature, space, and convenience.
Property Details
Price:
$185,000
MLS #:
2182372
Status:
Active
Baths:
0
Type:
Land
Subdivision:
River\’s Edge Subdivision
Listed Date:
Mar 4, 2026
Lot Size:
49,658 sqft / 1.14 acres (approx)
River\’s Edge SubdivisionHibbard 321elMadison 321jhMadison 321hs
Ask a Question
Take a Tour
Mortgage Calculator
Schools
Elementary School:
HIBBARD 321EL
Middle School:
MADISON 321JH
High School:
MADISON 321HS
Interior
Exterior
Financial
Taxes
$241
Map
Community
- AddressTBD Rivers Edge Drive REXBURG ID
- SubdivisionRiver’s Edge Subdivision
- CityREXBURG
- CountyMadison
- Zip Code83440
Similar Listings Nearby

TBD Rivers Edge Drive
REXBURG, ID
